Search
Prev
Next
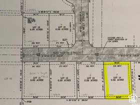
Land

335 600, Manti

$94,900.00

Bedroom bedrooms

  • MLS #: 2093006
  • Address: 335 600, Manti, UT 84642
  • Acres: 0.3
  • Subdivision: MAYLETT ESTATES

Location Location

Agent Comments Agent Comments
Looking to build without the stress? Look no further! Great building lot in a new subdivision on the North west side of town. If you are looking for the perfect place to build your dream home, but not sure how or where to start, this may be what you are looking for. Bring your ideas to life without the stress. Builder on site ready to look at your plans and turn them into your reality! Power, water and sewer have been stubbed to the property and ready to go. Buyer and buyers agent to verify any and all information.

Additional Features Additional Features
  • County: Sanpete
  • Property Type: Residential
  • Tax Number: 64126
  • Water/Sewer: Sewer: Available